De la Redacción
GRUPO CANTÓN
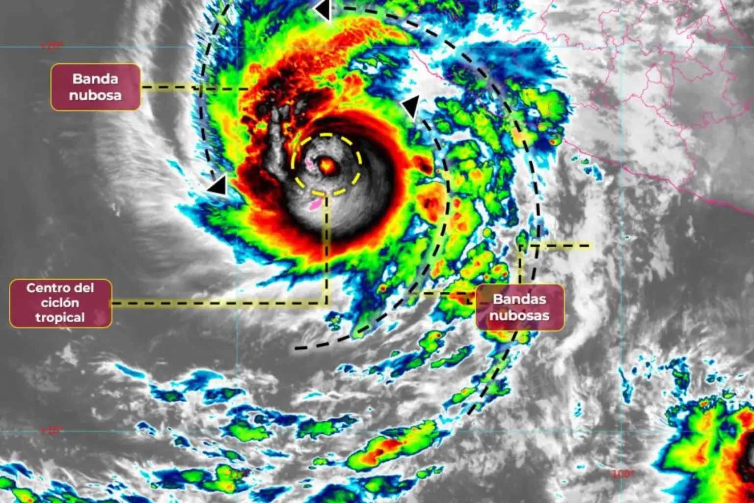
CDMX.- El huracán Norma se intensificó a categoría 3 en la escala Saffir-Simpson, informó el Servicio Meteorológico Nacional (SMN).
En su pronóstico general, el SMN indicó a las 06:00 que Norma se localiza a 405 kilómetros al suroeste de Playa Pérula, Jalisco,
y a 685 kilómetros al sur-sureste de Cabo San Lucas, Baja California Sur.
Presenta vientos sostenidos de 195 kilómetros por hora (km/h), rachas de 240 km/h y desplazamiento hacia el norte a 9 km/h.
Sus bandas nubosas ocasionarán lluvias puntuales intensas en Jalisco y Colima, así como lluvias muy fuertes en Nayarit, Michoacán y Guerrero; mismas que podrían incrementar los niveles de ríos y arroyos, y provocar deslaves e inundaciones en dichas entidades. Además, incrementa la probabilidad de chubascos en Baja California Sur y Sinaloa.
Rachas de viento de 90 a 110 km/h con posible formación de trombas marinas y oleaje de 3 a 5 metros de altura en costas de Jalisco, Colima y Michoacán; rachas de 70 a 80 km/h y oleaje de 2 a 3 metros de altura en costas de Baja California Sur, Nayarit y Guerrero.
Norma llega tras el doble azote de los ciclones Lidia y Max la semana pasada, cuando dejaron cinco muertos en total, uno en Nayarit, dos en Jalisco y dos en Guerrero.
Además es el decimocuarto ciclón con nombre de esta temporada en el Pacífico, donde antes se formaron Adrian, Beatriz, Calvin, Dora, Eugene, Fernanda, Greg, Hilary, Irwin, Jova, Kenneth, Lidia y Max.
De ellos, el más dañino ha sido Hilary, que en agosto dejó cuatro muertos en los estados de Baja California, Baja California Sur y Sinaloa, todos en el norte de México.
El Gobierno de México pronosticó en mayo la formación de hasta 38 ciclones con nombre en la temporada de 2023, de los que cinco pueden azotar al país.
De esa cifra, entre 16 y 22 sistemas podrían presentarse por el océano Pacífico, y entre 10 y 16 por el Atlántico.
Con información de López-Dóriga Digital

