México

El huracán Willa alcanza la categoría 5 frente a las costas del pacífico

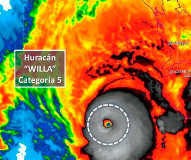
CIUDAD DE MÉXICO- El huracán Willa alcanzó la categoría 5 de la escala Saffir-Simpson frente a las costas de Jalisco, informó este lunes el Servicio Meteorológico Nacional (SMN).

A las 10:00 horas, Willa se encontraba a 215 kilómetros al sur-suroeste de Cabo Corrientes, Jalisco y 280 al sur-suroeste de las Islas Marías, precisó el Meteorológico en su reporte.

Willa alcanzó vientos sostenidos de 260 kilómetros por hora, rachas de 315 kilómetros por hora y se desplaza a una velocidad de 11 kilómetros por hora con dirección al norte.

Las autoridades establecieron una zona de vigilancia que abarca desde Playa Perula hasta Bahía Tempehuaya, al norte de Mazatlán, Sinaloa.

El ciclón dejará tormentas fuertes a puntuales muy fuertes (75 a 150 milímetros) en Jalisco y Colima, así como tormentas fuertes a puntuales muy fuertes (50 a 75 milímetros) en Baja California Sur, Sinaloa, Nayarit y Durango.

Debido a las rachas de viento y el oleaje de tres a cinco metros de altura, es probable la formación de trombas marinas, frente a las costas de los mismos estados, puntualizó.

De acuerdo con su trayectoria, se prevé que en las próximas 72 horas el fenómeno toque tierra en Sinaloa, para degradarse y avanzar por Durango, Coahuila y Nuevo León, indicó el Meteorológico.

La tormenta Vicente sigue su avance

Por otra parte, la tormenta tropical Vicente avanza frente a las costas del pacífico sur. Su circulación favorece el potencial de lluvias y tormentas en el sur y sureste de México.

Advertisement. Scroll to continue reading.
[adsforwp id="243463"]

Vicente se localiza a 280 kilómetros al sur de Acapulco, Guerrero.

La tormenta alcanzó vientos sostenidos de 75 kilómetros por hora y rachas de 95 kilómetros por hora y se desplaza a una velocidad de 11 kilómetros por hora con dirección al nort

Publicado por
Redacción Quintana Roo
Etiquetas: encortoportada